INVESTMENT & POSSIBLE FUTURE HOME SITE. Residential undeveloped vacant land (Lot). Spectacular Views. All utilities are available and will need to be brought to the lot. A simple dirt road may need to be cut. Road access is reserved exclusively to the lot owner. Utility & road easements are recorded. Develop a simple flat dirt pad for immediate or future use. Investing in small development projects practically guarantees to increase your primary investment money. Buy land even if you can’t afford a traditional home. Start small towards your goal of home ownership. LAND IS FOREVER ! Real Estate Builds Wealth. Owner Financing Option: Owner May Carry contact listing agent for details. All information provided by seller!
Current real estate data for Land in Simi Valley as of Apr 29, 2026
23
Land Listed
375
Avg DOM
$253,163
Avg List Price
Property Details
Price:
$28,050
MLS #:
SR25101778
Status:
Active
Beds:
0
Baths:
0
Type:
Land
Neighborhood:
sveeastsimi
Listed Date:
May 7, 2025
Lot Size:
3,920 sqft / 0.09 acres (approx)
Schools
Interior
Exterior
Community Features
RUR, MTN
View
MT, RK, TW
Financial
Map
Contact Us
Mortgage Calculator
Community
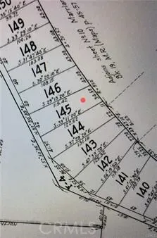
- Address145 Las Llajas Simi Valley CA
- SubdivisionOther (OTHR)
- CitySimi Valley
- CountyVentura
- Zip Code93063
Subdivisions in Simi Valley
- Alamo Court-302 – 302
- Alpine Barnes-252 – 252
- Alpine Texas-101 – 101
- Belwood-102 – 102
- Botanica Long Cyn 415
- Bridle Path New-316 – 316
- Bridle Path SDLBK-317
- Bridle Path SDLBK-317 – 317
- Bridle Path-103 – 103
- Case Flores 460
- Case Flores-460 – 1004942
- Country Lane 106
- Coventry Court ATT 284
- Crossroads on Cochran-421 – 1004672
- custom – 4179
- Emerald Point 469
- Friendly Village-240 – 240
- Groves 121
- Hadleigh of South Hills 450
- High Meadows 364
- Hollow Hills 126
- Hollow Hills-126 – 126
- Indian Hills Ridge-309 – 309
- Kingspark galena-131 – 1000412
- Laural Wood Long Canyon 448
- Legacy Collection 363
- Legacy Collection-363 – 363
- Marlborough Villas-217 – 1001532
- Meadow 1st & Royal-466 – 466
- Meadowbrooks ATT 222
- Meadowbrooks-222 – 1001592
- Milestone 434
- Montara Bigelow 140
- Mountain Valley RC 141
- New Monterey Texas 265
- North Gate-471 – 471
- Not Applicable – 1007242
- Oaktree 147
- Park Lane W ATT 228
- Parklane W-228 – 1001662
- Paseo Del Sol – 479 – 1000692
- Pride W-319 – 319
- Ranco Sequoia-158 – 1000742
- Royal Palce ATT 337
- Sandalwood 162
- Santa Susana Homes Rebecca 165
- Santa Susana Knolls 166
- Santa Susana Knolls-166 – 1000832
- Silverthorne 446
- Simi Country Estates Mobile 243
- Simi Park North 169
- Simi Park North-169 – 1000862
- Sinaloa Villas ATT 232
- Sinaloa Villas-232 – 1001712
- Springtime ATT 344
- Stonegate Fletcher 314
- Sycamore Terrace 235
- The Crest @ Wildhorse Canyon-477 – 477
- Tom Paul W 133
- Tom Paul W-133 – 1000432
- Unknown-999
- Valley View Estates 345
- Valley Vista-184 – 1001022
- Valley West Berylwood 275
- Valley West Far West-276 – 1002252
- White Cloud 443
- Windmill Long Cyn 418
Property Summary
- Located in the Other (OTHR) subdivision, 145 Las Llajas Simi Valley CA is a Land for sale in Simi Valley, CA, 93063. It is listed for $28,050 and features 0 acres. To schedule a showing of MLS#sr25101778 at 145 Las Llajas in Simi Valley, CA, contact your Outland and Associates / JoAnn Outland agent at 8054417754.
Similar Listings Nearby
Full-time Real Estate Broker, sold 1400+ Properties in SLO and SBC County. 40+ years of local real estate knowledge and experience. I understand each sale is about you and your goals. I know as we get older, we don’t have time to make up for any mistakes especially when it comes to one the most significant investments. I care about my clients and work very hard to share my knowledge and protect you along the way. I place the appropriate verbiage in the listing and listing agreement depending…
More About JoAnn
Courtesy of Rodeo Realty. Disclaimer: All data relating to real estate for sale on this page comes from the Broker Reciprocity (BR) of the California Regional Multiple Listing Service. Detailed information about real estate listings held by brokerage firms other than Outland and Associates / JoAnn Outland include the name of the listing broker. Neither the listing company nor Outland and Associates / JoAnn Outland shall be responsible for any typographical errors, misinformation, misprints and shall be held totally harmless. The Broker providing this data believes it to be correct, but advises interested parties to confirm any item before relying on it in a purchase decision. Copyright 2026. California Regional Multiple Listing Service. All rights reserved. 145 Las Llajas
Simi Valley, CA






