TRUST SALE !!! WOW 154.66 ACRES JUST THINK OF THE RANCH YOU AND YOUR FAMILY WILL HAVE OR YOU COULD HAVE AN SOLAR FARM FOR AN INVESTMENT FOR THE FUTURE. THE POSSIBILITIES ARE ENDLESS. WIDE OPEN SPACE YET STILL CLOSE TO TOWN IN WHICH WE HAVE MORE LOTS THERE ALSO LIKE 20 ACRES PARCELS OR JUST SMALL RESEIDENAIL LOTS THINK FOR THE FUTURE AND MAKE YOUR MOVES TODAY
Current real estate data for Land in California City as of Oct 02, 2025
644
Land Listed
413
Avg DOM
$34,271
Avg List Price
Property Details
Price:
$462,000
MLS #:
HD24239018
Status:
Active
Baths:
0
Type:
Land
Neighborhood:
caccaliforniacity
Listed Date:
Nov 22, 2024
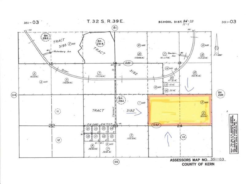
Lot Size:
6,736,989 sqft / 154.66 acres (approx)
Schools
Interior
Exterior
Community Features
Rural
Financial
Map
Contact Us
Mortgage Calculator
Community
- Address5007 BROWN Boulevard 35101005007 California City CA
- NeighborhoodCAC – California City
- CityCalifornia City
- CountyKern
- Zip Code93505
Subdivisions in California City
Property Summary
- 5007 BROWN Boulevard 35101005007 California City CA is a Land for sale in California City, CA, 93505. It is listed for $462,000 and features 155 acres. To schedule a showing of MLS#hd24239018 at 5007 BROWN Boulevard 35101005007 in California City, CA, contact your Outland and Associates / JoAnn Outland agent at 8054417754.
Similar Listings Nearby

5007 BROWN Boulevard 35101005007
California City, CA