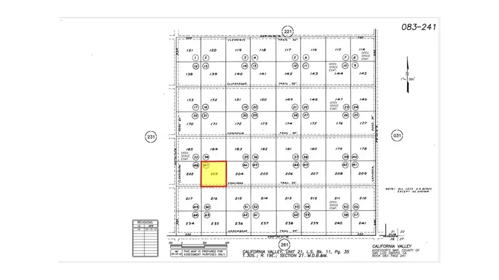
Cal Vly U 21 Lt 203
Current real estate data for Land in Santa Margarita as of Mar 14, 2026
58
Land Listed
212
Avg DOM
$126,280
Avg List Price
Property Details
Price:
$18,000
MLS #:
TR25072097
Status:
Active
Beds:
0
Baths:
0
Type:
Land
Subtype:
Water Position Without Land
Neighborhood:
699notdefined
Listed Date:
Apr 18, 2025
Lot Size:
108,900 sqft / 2.50 acres (approx)
Schools
Interior
Exterior
Community Features
VLY, BLM, HNT, PSV, BIKI
Financial
Map
Contact Us
Mortgage Calculator
Community
- AddressCoalinga Trail Lot 203 Santa Margarita CA
- CitySanta Margarita
- CountySan Luis Obispo
- Zip Code93465
Subdivisions in Santa Margarita
Property Summary
- Coalinga Trail Lot 203 Santa Margarita CA is a Land for sale in Santa Margarita, CA, 93465. It is listed for $18,000 and features 3 acres. To schedule a showing of MLS#tr25072097 at Coalinga Trail Lot 203 in Santa Margarita, CA, contact your Outland and Associates / JoAnn Outland agent at 8054417754.
Similar Listings Nearby
Get Out There, A Simply Outgoing Approach to Life. James Outland Jr. is one of those rare people who simply has an outgoing approach to life. No matter the activity… from dune buggy riding to skydiving to motorcycling to riding the local Pismo Beach waves… James Outland Jr. approaches life with a “just get out there and do it” kind of attitude. A zest for Life. James’ zest for life is obviously apparent in his many exciting hobbies. In his spare time, he loves riding dune buggies or hi…
More About James
Courtesy of Homecoin.com. Disclaimer: All data relating to real estate for sale on this page comes from the Broker Reciprocity (BR) of the California Regional Multiple Listing Service. Detailed information about real estate listings held by brokerage firms other than Outland and Associates / JoAnn Outland include the name of the listing broker. Neither the listing company nor Outland and Associates / JoAnn Outland shall be responsible for any typographical errors, misinformation, misprints and shall be held totally harmless. The Broker providing this data believes it to be correct, but advises interested parties to confirm any item before relying on it in a purchase decision. Copyright 2026. California Regional Multiple Listing Service. All rights reserved. Coalinga Trail Lot 203
Santa Margarita, CA











