2.50 Acre FAR EAST CORNER lot = build two Homes. FENCED ON EAST SIDE OF LOT. The Amazing 360° views will astonish you from this Fantastic location close to Elkhorn Rd for easy access and only 30 minutes to Grocery Story in McKittrick. Hunt in the nearby BLM Hills apx. 2000 feet from the lot and walking distance to trials that allow you to Ride a Horse, Hike, or drive off-road Motorcycles or ATVs. VERY DARK SOIL AND GRASSES are an indication of great water. Great for a vacation getaway or build your dream home. Bring your cows, goats, and chickens. Manufactured homes okay. **ADDRESS NUMBER IS ESTIMATED & NOT EXACT. Contact agent for precise maps and directions. 35.297864, -119.847889 APN: 084-071-021
Current real estate data for Land in Santa Margarita as of Mar 14, 2026
58
Land Listed
212
Avg DOM
$126,280
Avg List Price
Property Details
Price:
$10,000
MLS #:
PI26016408
Status:
Active
Beds:
0
Baths:
0
Type:
Land
Subdivision:
Carrizo Plains/California Valley62
Neighborhood:
smrgsantamargarita
Listed Date:
Jan 22, 2026
Lot Size:
108,900 sqft / 2.50 acres (approx)
Schools
Interior
Exterior
Community Features
RUR, VLY, BLM, FHL, HRS, HNT, MTN, LAKE, HIKI
Financial
Tax Year
2025
Taxes
$103
Map
Contact Us
Mortgage Calculator
Community
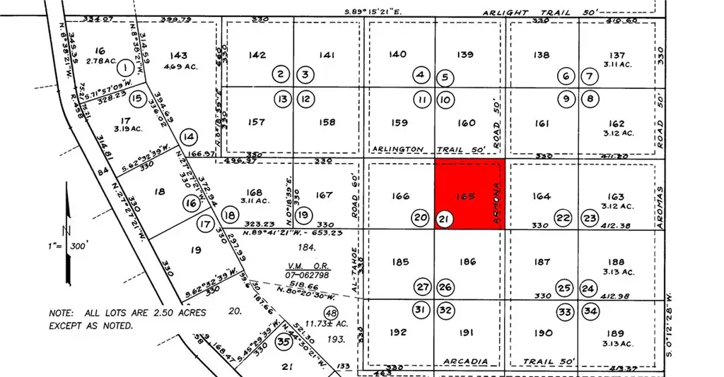
- Address14731 Arlington TR Santa Margarita CA
- SubdivisionCarrizo Plains/California Valley(62)
- CitySanta Margarita
- CountySan Luis Obispo
- Zip Code93453
Subdivisions in Santa Margarita
Property Summary
- Located in the Carrizo Plains/California Valley(62) subdivision, 14731 Arlington TR Santa Margarita CA is a Land for sale in Santa Margarita, CA, 93453. It is listed for $10,000 and features 3 acres. To schedule a showing of MLS#pi26016408 at 14731 Arlington TR in Santa Margarita, CA, contact your Outland and Associates / JoAnn Outland agent at 8054417754.
Similar Listings Nearby
Full-time Real Estate Broker, sold 1400+ Properties in SLO and SBC County. 40+ years of local real estate knowledge and experience. I understand each sale is about you and your goals. I know as we get older, we don’t have time to make up for any mistakes especially when it comes to one the most significant investments. I care about my clients and work very hard to share my knowledge and protect you along the way. I place the appropriate verbiage in the listing and listing agreement depending…
More About JoAnn
Courtesy of David Norwood Central Coast Real Estate. Disclaimer: All data relating to real estate for sale on this page comes from the Broker Reciprocity (BR) of the California Regional Multiple Listing Service. Detailed information about real estate listings held by brokerage firms other than Outland and Associates / JoAnn Outland include the name of the listing broker. Neither the listing company nor Outland and Associates / JoAnn Outland shall be responsible for any typographical errors, misinformation, misprints and shall be held totally harmless. The Broker providing this data believes it to be correct, but advises interested parties to confirm any item before relying on it in a purchase decision. Copyright 2026. California Regional Multiple Listing Service. All rights reserved. 14731 Arlington TR
Santa Margarita, CA







