117 S I ST
Lompoc, CA, 93436
$339,000
Prime 0.40-Acre Empty land Development Opportunity in Historic Old Town Lompoc at I Street – Includes Two Parcels.
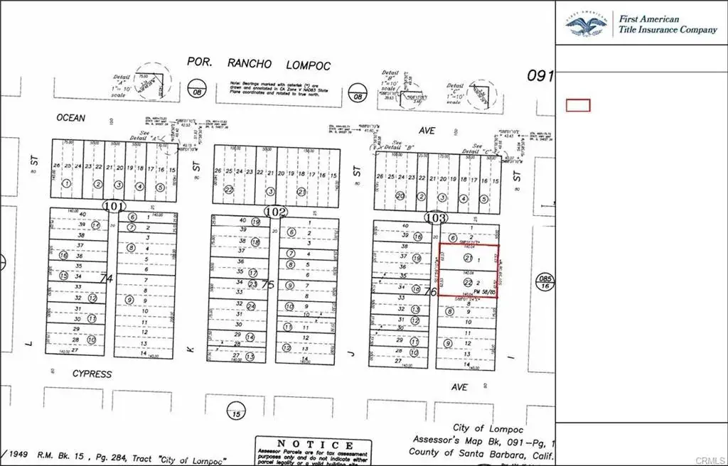
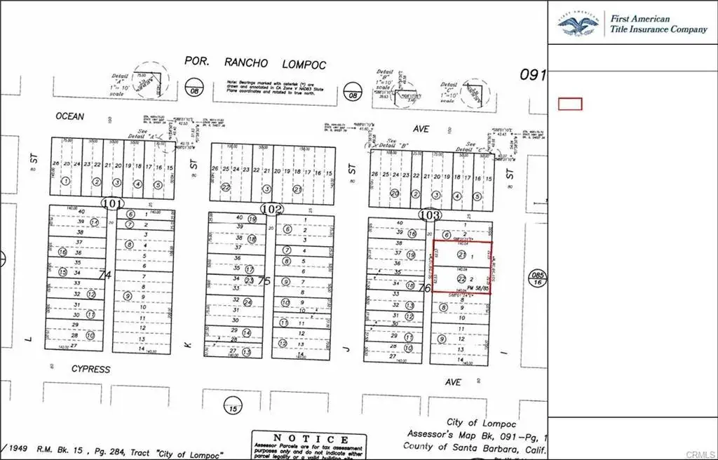
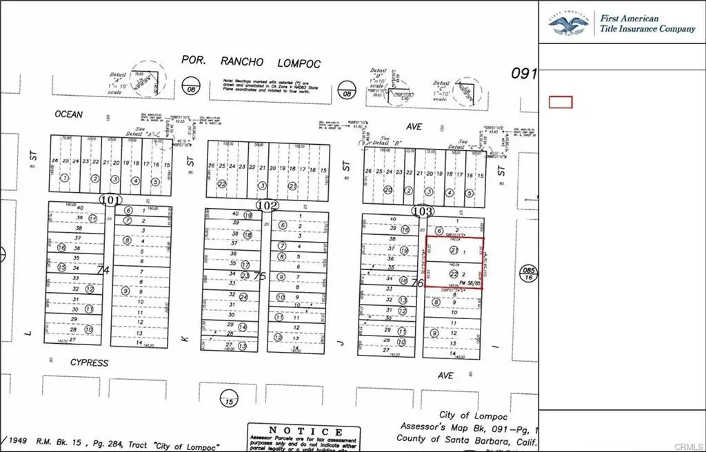
Discover a rare investment opportunity in the heart of Old Town Lompoc, Santa Barbara County. This flat, build-ready 0.40-acre land consists of two adjoining parcels (APNs 091-103-021 & 091-103-022) and offers exceptional development potential in a rapidly revitalizing area.
Preliminary evaluation indicates the site could accommodate some commercial space and approximately 48 residential units, including 7 affordable units for low-income housing when considering AB 2001 Bill as well as density bonus incentives. No parking is required under these provisions, making this a highly versatile opportunity for developers looking to bring new residential and retail vitality to the downtown corridor.
All information should be confirmed with the City of Lompoc and independently verified by the buyer.
This land also carries rich historic significance. In 1875, it was home to the iconic Sherman Hotel, later known as the Colonial Inn, built by Lompoc’s first postmaster. Over the years, it held several names—including the Veit House, Cousin’s Hotel, and Mastro’s Colony House—before its demolition in 1989. Today, the site stands ready for a new chapter, offering a unique opportunity to revitalize a meaningful piece of Lompoc’s past.
With its central location, flat topography, and flexible development possibilities, this property is ideal for a thoughtfully designed residential or mixed-use project. Bring your vision to a site where history, community, and opportunity come together.
Discover a rare investment opportunity in the heart of Old Town Lompoc, Santa Barbara County. This flat, build-ready 0.40-acre land consists of two adjoining parcels (APNs 091-103-021 & 091-103-022) and offers exceptional development potential in a rapidly revitalizing area.
Preliminary evaluation indicates the site could accommodate some commercial space and approximately 48 residential units, including 7 affordable units for low-income housing when considering AB 2001 Bill as well as density bonus incentives. No parking is required under these provisions, making this a highly versatile opportunity for developers looking to bring new residential and retail vitality to the downtown corridor.
All information should be confirmed with the City of Lompoc and independently verified by the buyer.
This land also carries rich historic significance. In 1875, it was home to the iconic Sherman Hotel, later known as the Colonial Inn, built by Lompoc’s first postmaster. Over the years, it held several names—including the Veit House, Cousin’s Hotel, and Mastro’s Colony House—before its demolition in 1989. Today, the site stands ready for a new chapter, offering a unique opportunity to revitalize a meaningful piece of Lompoc’s past.
With its central location, flat topography, and flexible development possibilities, this property is ideal for a thoughtfully designed residential or mixed-use project. Bring your vision to a site where history, community, and opportunity come together.
Property Details
Price:
$339,000
MLS #:
SR25277552
Status:
Active
Beds:
0
Baths:
0
Type:
Land
Subdivision:
South West Lmpc54
Neighborhood:
lomplompoc
Listed Date:
Dec 22, 2025
Lot Size:
8,712 sqft / 0.20 acres (approx)
Schools
Interior
Exterior
Community Features
SDW, CRB
Financial
Map
Contact Us
Mortgage Calculator
Community
- Address117 S I ST Lompoc CA
- SubdivisionSouth West Lmpc(54)
- CityLompoc
- CountySanta Barbara
- Zip Code93436
Subdivisions in Lompoc
Property Summary
- Located in the South West Lmpc(54) subdivision, 117 S I ST Lompoc CA is a Land for sale in Lompoc, CA, 93436. It is listed for $339,000 and features 0 acres. To schedule a showing of MLS#sr25277552 at 117 S I ST in Lompoc, CA, contact your Outland and Associates / JoAnn Outland agent at 8054417754.
Similar Listings Nearby
Full-time Real Estate Broker, sold 1400+ Properties in SLO and SBC County. 40+ years of local real estate knowledge and experience. I understand each sale is about you and your goals. I know as we get older, we don’t have time to make up for any mistakes especially when it comes to one the most significant investments. I care about my clients and work very hard to share my knowledge and protect you along the way. I place the appropriate verbiage in the listing and listing agreement depending…
More About JoAnn
Courtesy of Flat Fee Inc.. Disclaimer: All data relating to real estate for sale on this page comes from the Broker Reciprocity (BR) of the California Regional Multiple Listing Service. Detailed information about real estate listings held by brokerage firms other than Outland and Associates / JoAnn Outland include the name of the listing broker. Neither the listing company nor Outland and Associates / JoAnn Outland shall be responsible for any typographical errors, misinformation, misprints and shall be held totally harmless. The Broker providing this data believes it to be correct, but advises interested parties to confirm any item before relying on it in a purchase decision. Copyright 2026. California Regional Multiple Listing Service. All rights reserved. 117 S I ST
Lompoc, CA















