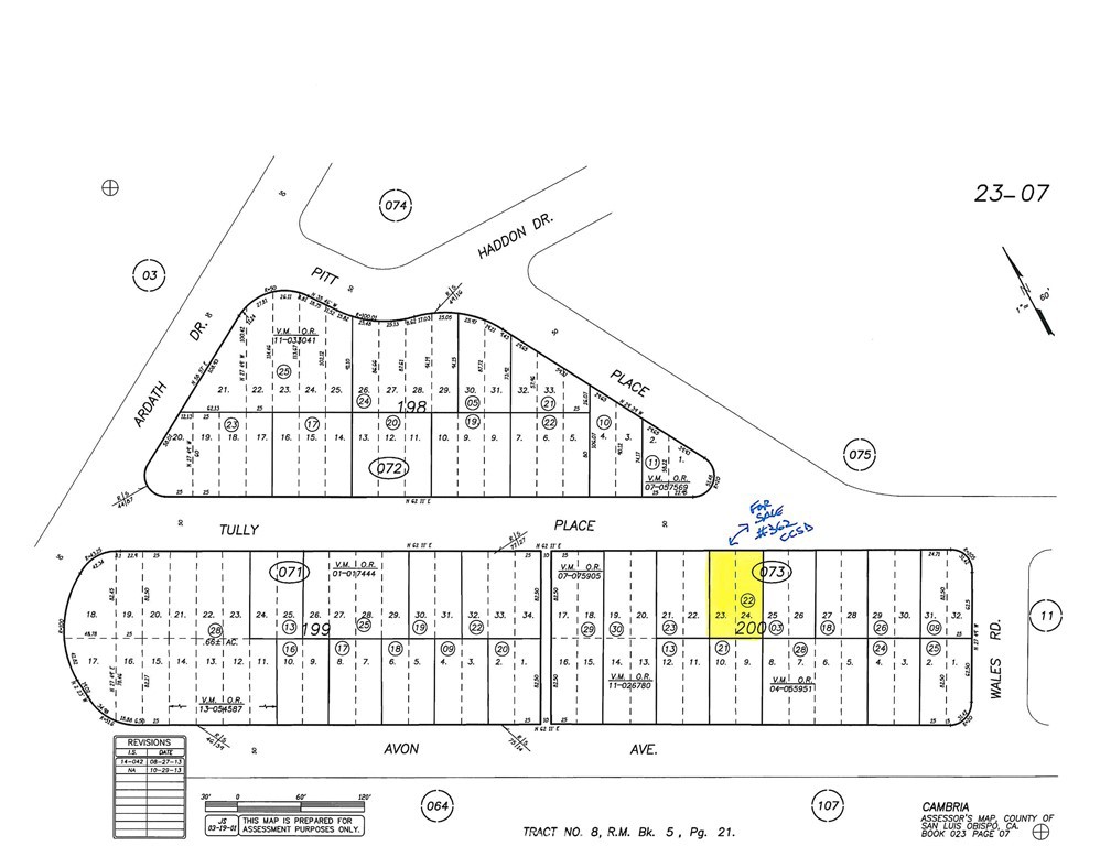
Rural and quiet part of Lodge Hill. Lots of wildlife, oaks & pines. West of Highway One & not far to the beach or ranch trails. #361 on CCSD water wait list. This is a double lot 4100+-sqft, 50’x 82.50′ on a gentle down slope. Buy and hold for now until the current building moratorium for new construction is lifted. Check CCSD and county websites (cambriacsd.org & slocounty.ca.gov) for info on the moratorium & allowable uses for property. Offered for $39,000.
Property Details
Price:
$39,000
MLS #:
SC22204783
Status:
Active
Beds:
0
Baths:
0
Type:
Land
Subtype:
Water Position With Land
Subdivision:
Lodge Hill430
Neighborhood:
cambcambria
Listed Date:
Oct 21, 2023
Lot Size:
4,100 sqft / 0.09 acres (approx)
Schools
Interior
Exterior
Community Features
RUR, PSV, FISH, HIKI, BIKI, DGP
Financial
Map
Contact Us
Mortgage Calculator
Community
- AddressTully PL Lot 23 Cambria CA
- SubdivisionLodge Hill(430)
- CityCambria
- CountySan Luis Obispo
- Zip Code93428
Subdivisions in Cambria
Property Summary
- Located in the Lodge Hill(430) subdivision, Tully PL Lot 23 Cambria CA is a Land for sale in Cambria, CA, 93428. It is listed for $39,000 and features 0 acres. To schedule a showing of MLS#sc22204783 at Tully PL Lot 23 in Cambria, CA, contact your Outland and Associates / JoAnn Outland agent at 8054417754.
Similar Listings Nearby
Full-time Real Estate Broker, sold 1400+ Properties in SLO and SBC County. 40+ years of local real estate knowledge and experience. I understand each sale is about you and your goals. I know as we get older, we don’t have time to make up for any mistakes especially when it comes to one the most significant investments. I care about my clients and work very hard to share my knowledge and protect you along the way. I place the appropriate verbiage in the listing and listing agreement depending…
More About JoAnn
Courtesy of Jack Posemsky Real Estate. Disclaimer: All data relating to real estate for sale on this page comes from the Broker Reciprocity (BR) of the California Regional Multiple Listing Service. Detailed information about real estate listings held by brokerage firms other than Outland and Associates / JoAnn Outland include the name of the listing broker. Neither the listing company nor Outland and Associates / JoAnn Outland shall be responsible for any typographical errors, misinformation, misprints and shall be held totally harmless. The Broker providing this data believes it to be correct, but advises interested parties to confirm any item before relying on it in a purchase decision. Copyright 2026. California Regional Multiple Listing Service. All rights reserved. Tully PL Lot 23
Cambria, CA












