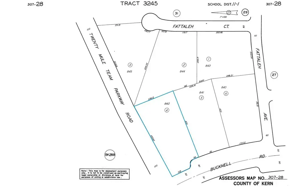
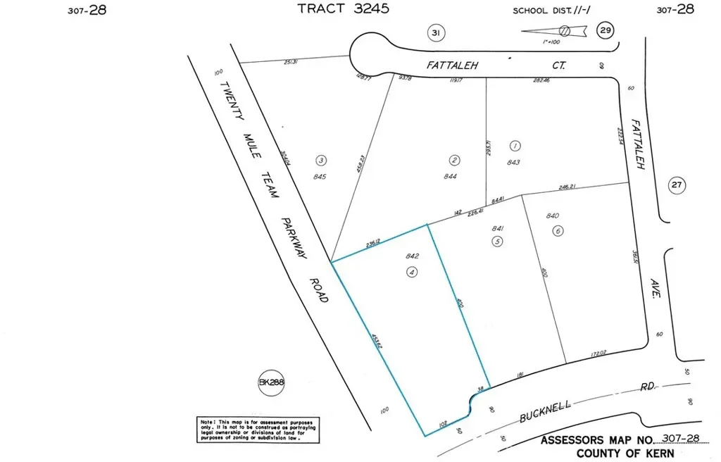
Twenty Mule Team Parkway at Bucknell Rd, California City, CA 93505 APN: 307-280-04. For sale is a 2.17 vacant multi family residential lot on Twenty Mule Team Parkway in California City. This is for off the grid living. Directions: Start at the Starbucks at 9678 California City Blvd, California City, CA 93505 then enter that address as the beginning address into your phone, then add these GPS coordinates as the ending address: 35.208645, -117.739142. You will be at the corner of Twenty Mule Team Parkway at Bucknell Rd. The lot is at the southeast corner. Please use the parcel map from here. GPS Coordinate: 35.208645, -117.739142
Current real estate data for Land in California City as of Feb 09, 2026
581
Land Listed
308
Avg DOM
$34,986
Avg List Price
Property Details
Price:
$7,500
MLS #:
HD26024155
Status:
Active
Beds:
0
Baths:
0
Type:
Land
Neighborhood:
caccaliforniacity
Listed Date:
Feb 2, 2026
Lot Size:
87,120 sqft / 2.00 acres (approx)
Schools
Interior
Exterior
Community Features
GOLF
Financial
Map
Contact Us
Mortgage Calculator
Community
- AddressTwenty Mule Team RD Lot 842 California City CA
- CityCalifornia City
- CountyKern
- Zip Code93505
Subdivisions in California City
Property Summary
- Twenty Mule Team RD Lot 842 California City CA is a Land for sale in California City, CA, 93505. It is listed for $7,500 and features 2 acres. To schedule a showing of MLS#hd26024155 at Twenty Mule Team RD Lot 842 in California City, CA, contact your Outland and Associates / JoAnn Outland agent at 8054417754.
Similar Listings Nearby
Full-time Real Estate Broker, sold 1400+ Properties in SLO and SBC County. 40+ years of local real estate knowledge and experience. I understand each sale is about you and your goals. I know as we get older, we don’t have time to make up for any mistakes especially when it comes to one the most significant investments. I care about my clients and work very hard to share my knowledge and protect you along the way. I place the appropriate verbiage in the listing and listing agreement depending…
More About JoAnn
Courtesy of Bancorp One, Inc.. Disclaimer: All data relating to real estate for sale on this page comes from the Broker Reciprocity (BR) of the California Regional Multiple Listing Service. Detailed information about real estate listings held by brokerage firms other than Outland and Associates / JoAnn Outland include the name of the listing broker. Neither the listing company nor Outland and Associates / JoAnn Outland shall be responsible for any typographical errors, misinformation, misprints and shall be held totally harmless. The Broker providing this data believes it to be correct, but advises interested parties to confirm any item before relying on it in a purchase decision. Copyright 2026. California Regional Multiple Listing Service. All rights reserved. Twenty Mule Team RD Lot 842
California City, CA









