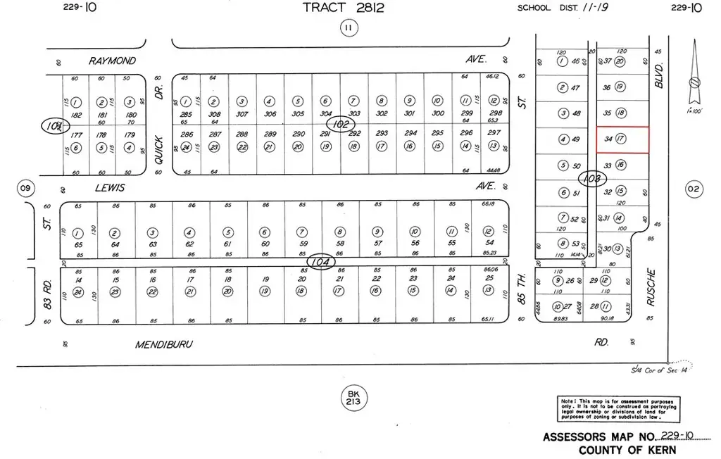
Secure this 0.17-acre residential opportunity on Rusche Boulevard in California City’s growing desert community. This flat, buildable parcel offers direct dirt road access with electricity connection available approximately 450 feet away near Mendiburu Road. Located just 4 miles from California City Airport in Kern County’s designated opportunity zone, the property provides tax advantages and affordable entry into California’s land market at $19,900. The level terrain with typical desert vegetation eliminates grading costs while maintaining privacy in the high-desert landscape. Zoning supports residential development with minimal restrictions, making it ideal for off-grid living, recreational retreat, or long-term investment. Proximity to State Route 14 ensures connectivity to Los Angeles metropolitan area while preserving javascript:__doPostBack(‘m_rpPageList$ctl06$lbPageLink’,”)rural character. California City’s 203-square-mile expanse offers room for growth, supported by State Water Project infrastructure and Southern California Edison service territory. The region attracts outdoor enthusiasts with nearby Red Rock Canyon State Park and Joshua Tree National Park access. Buyer to verify utilities and conduct due diligence. Perfect for those seeking affordable California land with development potential in an area positioned for future appreciation as remote work trends drive desert migration. APN 229-103-17-00-7.
Current real estate data for Land in California City as of Dec 11, 2025
321
Land Listed
342
Avg DOM
$20,331
Avg List Price
Property Details
Price:
$19,900
MLS #:
ND25192321
Status:
Active
Beds:
0
Baths:
0
Type:
Land
Neighborhood:
caccaliforniacity
Listed Date:
Sep 9, 2025
Lot Size:
7,282 sqft / 0.17 acres (approx)
Schools
Interior
Exterior
Community Features
GOLF, PARK
Financial
Map
Contact Us
Mortgage Calculator
Community
- AddressRusche BL Lot 34 California City CA
- CityCalifornia City
- CountyKern
- Zip Code93505
Subdivisions in California City
Property Summary
- Rusche BL Lot 34 California City CA is a Land for sale in California City, CA, 93505. It is listed for $19,900 and features 0 acres. To schedule a showing of MLS#nd25192321 at Rusche BL Lot 34 in California City, CA, contact your Outland and Associates / JoAnn Outland agent at 8054417754.
Similar Listings Nearby
Full-time Real Estate Broker, sold 1400+ Properties in SLO and SBC County. 40+ years of local real estate knowledge and experience. I understand each sale is about you and your goals. I know as we get older, we don’t have time to make up for any mistakes especially when it comes to one the most significant investments. I care about my clients and work very hard to share my knowledge and protect you along the way. I place the appropriate verbiage in the listing and listing agreement depending…
More About JoAnn
Courtesy of Loanstar Financial. Disclaimer: All data relating to real estate for sale on this page comes from the Broker Reciprocity (BR) of the California Regional Multiple Listing Service. Detailed information about real estate listings held by brokerage firms other than Outland and Associates / JoAnn Outland include the name of the listing broker. Neither the listing company nor Outland and Associates / JoAnn Outland shall be responsible for any typographical errors, misinformation, misprints and shall be held totally harmless. The Broker providing this data believes it to be correct, but advises interested parties to confirm any item before relying on it in a purchase decision. Copyright 2025. California Regional Multiple Listing Service. All rights reserved. Rusche BL Lot 34
California City, CA



