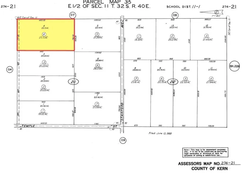
APN# 274-211-04-00-7
Coordinates: 35.171151, -117.649958
25 ACRES Great Investment opportunity just 4 mile off of Hwy 395 exit Fremont Peak Rd go west check to your coordinates on you favorite map. Plenty of space endless opportunities.
Coordinates: 35.171151, -117.649958
25 ACRES Great Investment opportunity just 4 mile off of Hwy 395 exit Fremont Peak Rd go west check to your coordinates on you favorite map. Plenty of space endless opportunities.
Current real estate data for Land in California City as of Apr 11, 2026
389
Land Listed
306
Avg DOM
$53,239
Avg List Price
Property Details
Price:
$20,000
MLS #:
IV26006098
Status:
Active
Beds:
0
Baths:
0
Type:
Land
Neighborhood:
caccaliforniacity
Listed Date:
Jan 10, 2026
Lot Size:
1,095,534 sqft / 25.15 acres (approx)
Schools
Interior
Exterior
Community Features
RUR
View
MT
Financial
Map
Contact Us
Mortgage Calculator
Community
- AddressRice AV California City CA
- CityCalifornia City
- CountyKern
- Zip Code93523
Subdivisions in California City
Property Summary
- Rice AV California City CA is a Land for sale in California City, CA, 93523. It is listed for $20,000 and features 25 acres. To schedule a showing of MLS#iv26006098 at Rice AV in California City, CA, contact your Outland and Associates / JoAnn Outland agent at 8054417754.
Similar Listings Nearby
Full-time Real Estate Broker, sold 1400+ Properties in SLO and SBC County. 40+ years of local real estate knowledge and experience. I understand each sale is about you and your goals. I know as we get older, we don’t have time to make up for any mistakes especially when it comes to one the most significant investments. I care about my clients and work very hard to share my knowledge and protect you along the way. I place the appropriate verbiage in the listing and listing agreement depending…
More About JoAnn
Courtesy of HOME & LAND SOURCE. Disclaimer: All data relating to real estate for sale on this page comes from the Broker Reciprocity (BR) of the California Regional Multiple Listing Service. Detailed information about real estate listings held by brokerage firms other than Outland and Associates / JoAnn Outland include the name of the listing broker. Neither the listing company nor Outland and Associates / JoAnn Outland shall be responsible for any typographical errors, misinformation, misprints and shall be held totally harmless. The Broker providing this data believes it to be correct, but advises interested parties to confirm any item before relying on it in a purchase decision. Copyright 2026. California Regional Multiple Listing Service. All rights reserved. Rice AV
California City, CA


