Larger than average lot on N Clover, between Sherman Place & Irene Ave. Imagine the possibilities! Have you heard the history of California City? Own a piece of California Cultural history and build something for yourself.
Please utilize Google Street view to get a good idea of what the terrain looks like. The parcel is flat.
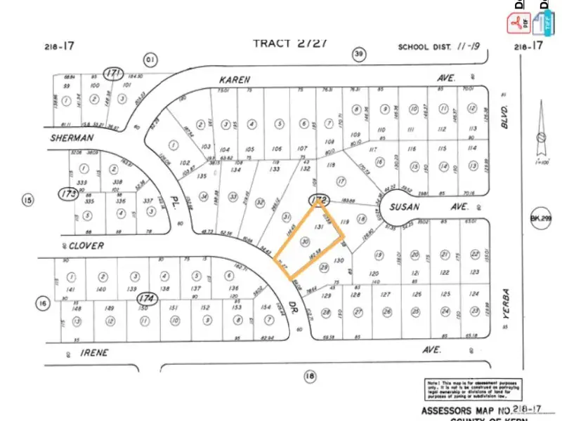
Lot measurements : 71.27 at street, 117.58 at rear, 199.45 to the west and 182.58 to the east, totaling 17,859 square feet or .41 Acres. Buyers are advised to verify these numbers with Kern County.
Kern County Lot number 218-172-30-00-8
Please contact Kern County to confirm availability of utilities.
Please utilize Google Street view to get a good idea of what the terrain looks like. The parcel is flat.
Lot measurements : 71.27 at street, 117.58 at rear, 199.45 to the west and 182.58 to the east, totaling 17,859 square feet or .41 Acres. Buyers are advised to verify these numbers with Kern County.
Kern County Lot number 218-172-30-00-8
Please contact Kern County to confirm availability of utilities.
Current real estate data for Land in California City as of Feb 04, 2026
584
Land Listed
298
Avg DOM
$35,343
Avg List Price
Property Details
Price:
$12,000
MLS #:
PW26020398
Status:
Active
Beds:
0
Baths:
0
Type:
Land
Neighborhood:
caccaliforniacity
Listed Date:
Jan 28, 2026
Lot Size:
17,720 sqft / 0.41 acres (approx)
Schools
Interior
Exterior
Community Features
RUR
Financial
Map
Contact Us
Mortgage Calculator
Community
- AddressN Clover Lot 131 California City CA
- CityCalifornia City
- CountyKern
- Zip Code93505
Subdivisions in California City
Property Summary
- N Clover Lot 131 California City CA is a Land for sale in California City, CA, 93505. It is listed for $12,000 and features 0 acres. To schedule a showing of MLS#pw26020398 at N Clover Lot 131 in California City, CA, contact your Outland and Associates / JoAnn Outland agent at 8054417754.
Similar Listings Nearby
Get Out There, A Simply Outgoing Approach to Life. James Outland Jr. is one of those rare people who simply has an outgoing approach to life. No matter the activity… from dune buggy riding to skydiving to motorcycling to riding the local Pismo Beach waves… James Outland Jr. approaches life with a “just get out there and do it” kind of attitude. A zest for Life. James’ zest for life is obviously apparent in his many exciting hobbies. In his spare time, he loves riding dune buggies or hi…
More About James
Courtesy of Keller Williams Pacific Estate. Disclaimer: All data relating to real estate for sale on this page comes from the Broker Reciprocity (BR) of the California Regional Multiple Listing Service. Detailed information about real estate listings held by brokerage firms other than Outland and Associates / JoAnn Outland include the name of the listing broker. Neither the listing company nor Outland and Associates / JoAnn Outland shall be responsible for any typographical errors, misinformation, misprints and shall be held totally harmless. The Broker providing this data believes it to be correct, but advises interested parties to confirm any item before relying on it in a purchase decision. Copyright 2026. California Regional Multiple Listing Service. All rights reserved. N Clover Lot 131
California City, CA



