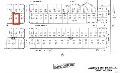
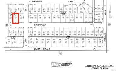
California City – Nice flat land 9,365 SQFT Come see the city that takes its namesake from the Golden State. Maybe buy a piece of land while you’re up. This piece of land. Why would you want it? Some Day development will make its way to this end of the Mojave. There’s some here already, Well there is this lot.. A little bit of desert sand to call your own. Power is a little ways away. Reach out to California City Water Dept & their Sanitation division for more info on water & sewer service. Feel free to take a drive by the lot: CA City BLVD L on 72nd, R on Dogwood, Follow until it become 71st, pass pavement end, L on Greenwood 35.119643°N, 117.998727°W Copy and paste the coordinates to google maps for a pin with the location.
Current real estate data for Land in California City as of Jan 02, 2026
163
Land Listed
386
Avg DOM
$21,112
Avg List Price
Property Details
Price:
$15,900
MLS #:
HD25265140
Status:
Active
Beds:
0
Baths:
0
Type:
Land
Neighborhood:
699notdefined
Listed Date:
Nov 22, 2025
Lot Size:
9,147 sqft / 0.21 acres (approx)
Schools
Interior
Exterior
Community Features
RUR, VLY
Financial
Map
Contact Us
Mortgage Calculator
Community
- AddressGreenwood AV California City CA
- CityCalifornia City
- CountyKern
- Zip Code93505
Subdivisions in California City
Property Summary
- Greenwood AV California City CA is a Land for sale in California City, CA, 93505. It is listed for $15,900 and features 0 acres. To schedule a showing of MLS#hd25265140 at Greenwood AV in California City, CA, contact your Outland and Associates / JoAnn Outland agent at 8054417754.
Similar Listings Nearby
Full-time Real Estate Broker, sold 1400+ Properties in SLO and SBC County. 40+ years of local real estate knowledge and experience. I understand each sale is about you and your goals. I know as we get older, we don’t have time to make up for any mistakes especially when it comes to one the most significant investments. I care about my clients and work very hard to share my knowledge and protect you along the way. I place the appropriate verbiage in the listing and listing agreement depending…
More About JoAnn
Courtesy of Excellence RE Real Estate. Disclaimer: All data relating to real estate for sale on this page comes from the Broker Reciprocity (BR) of the California Regional Multiple Listing Service. Detailed information about real estate listings held by brokerage firms other than Outland and Associates / JoAnn Outland include the name of the listing broker. Neither the listing company nor Outland and Associates / JoAnn Outland shall be responsible for any typographical errors, misinformation, misprints and shall be held totally harmless. The Broker providing this data believes it to be correct, but advises interested parties to confirm any item before relying on it in a purchase decision. Copyright 2026. California Regional Multiple Listing Service. All rights reserved. Greenwood AV
California City, CA




