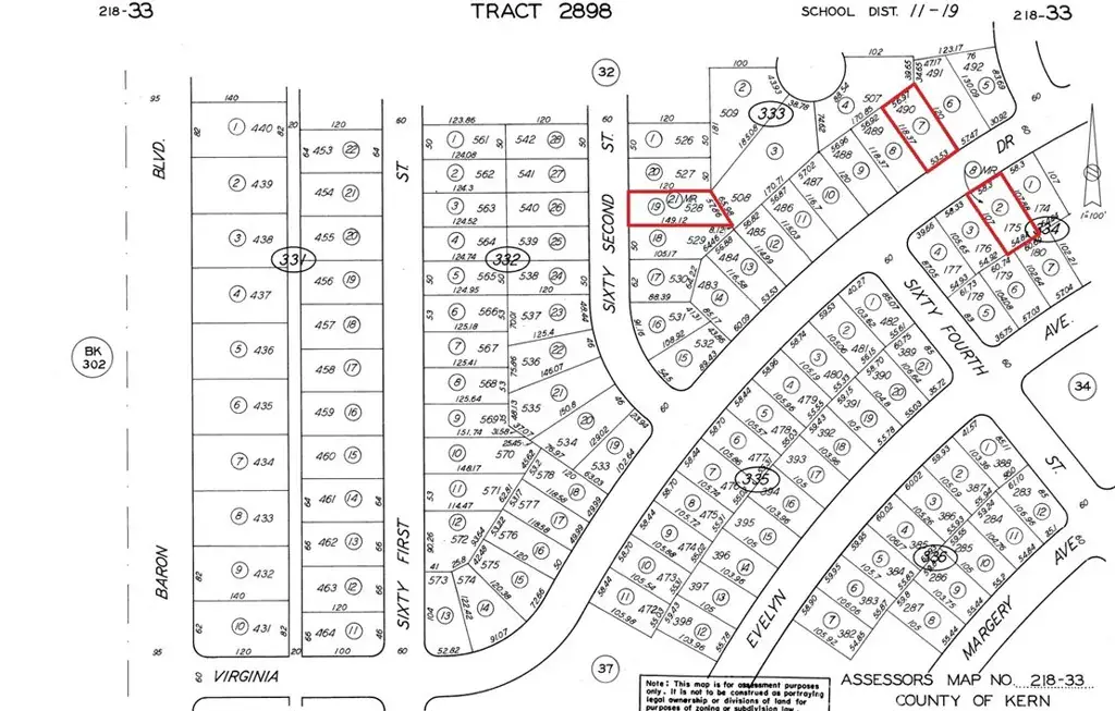
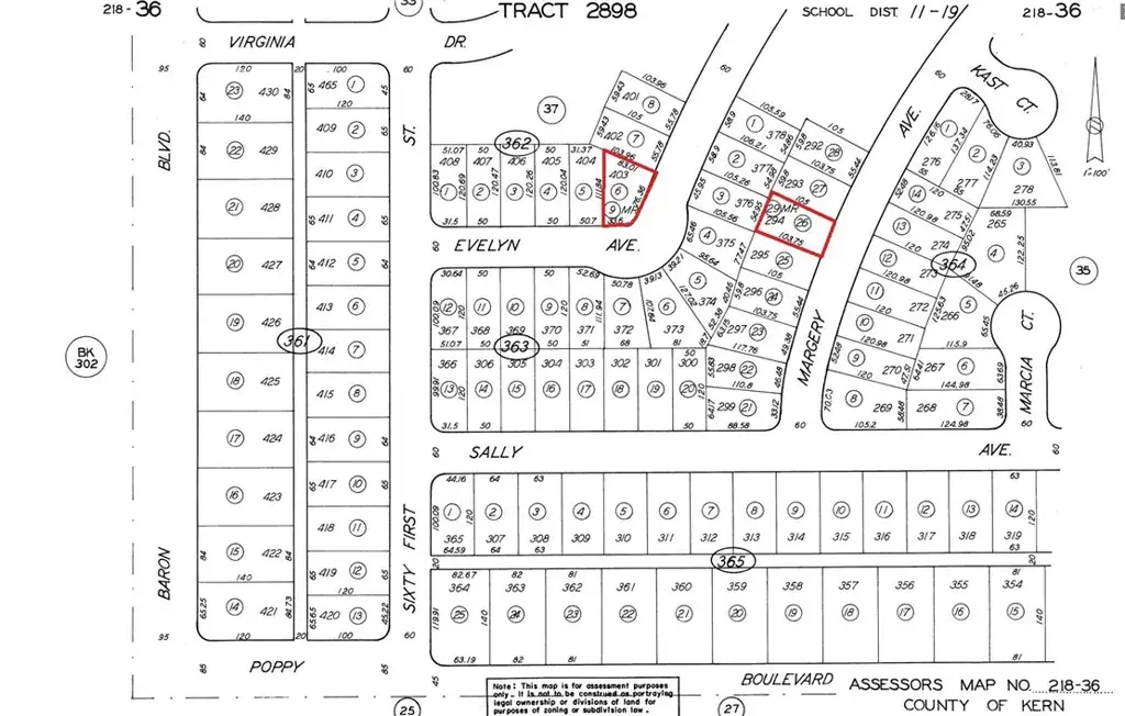
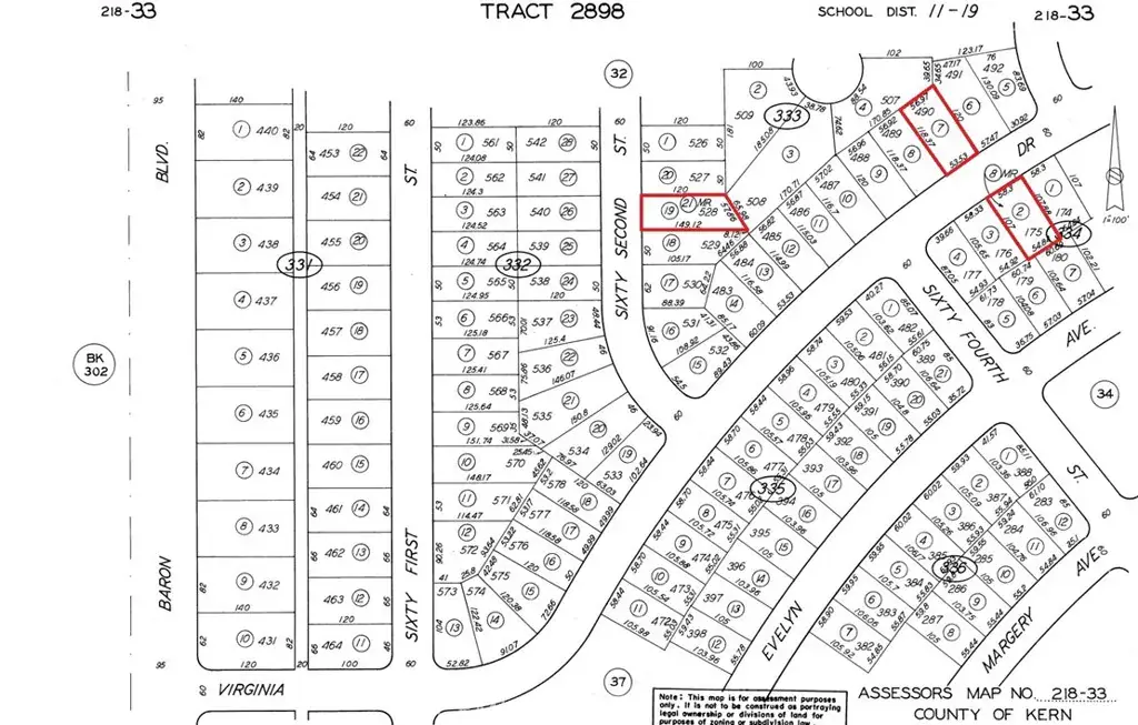
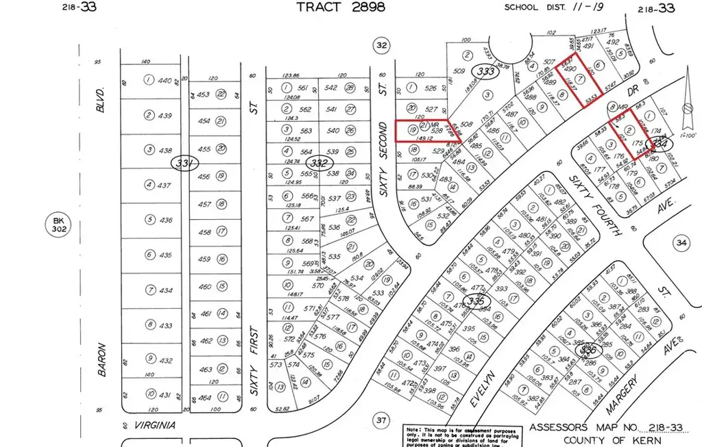
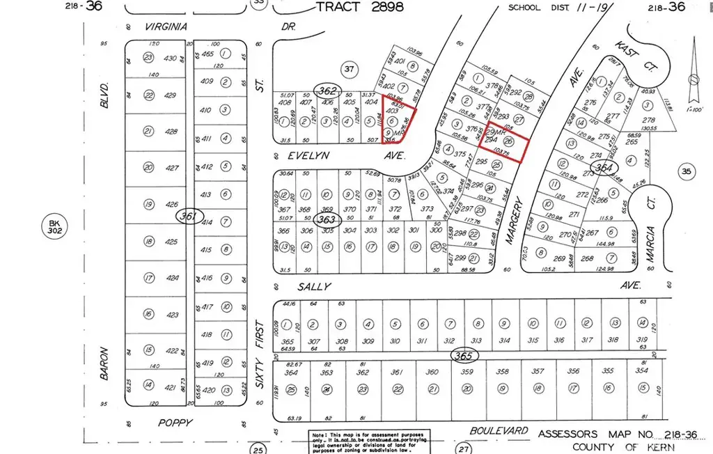
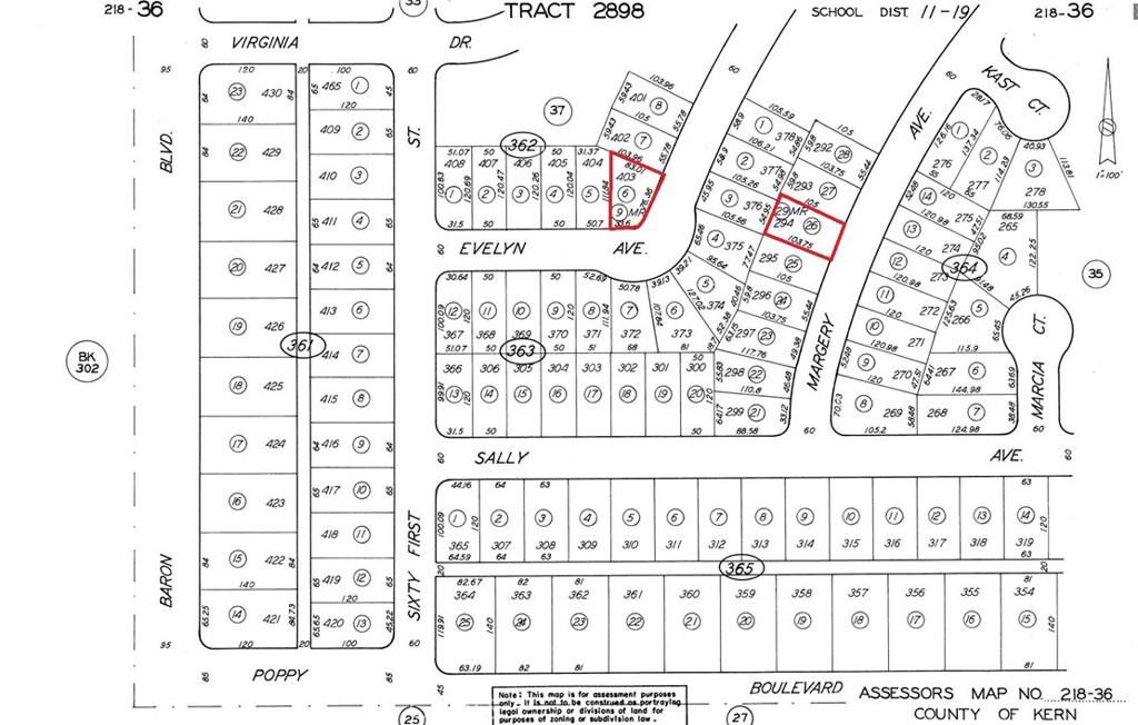
For sale is 1+- acre divided into 7 different lots (not connected). All are zoned as R1 and have water to the lot lines. Buyer to verify water and other utilities. The price listed is for all 7 lots. The 7 lots are:
APN: 218-342-14 on Evelyn Ave: 6104 sq ft
APN: 218-362-06 on Evelyn Ave: 5936 sq ft
APN: 218-363-26 on Margery Ave: 6302 sq Ft
APN: 218-325-14 on Alice St: 4586 sq ft
APN: 218-333-07 on Virginia Dr: 7083 sq ft
APN: 218-333-19 on 62nd St: 7023 sq ft
APN: 218-334-02 on Virginia Dr: 5845 sq ft
APN: 218-342-14 on Evelyn Ave: 6104 sq ft
APN: 218-362-06 on Evelyn Ave: 5936 sq ft
APN: 218-363-26 on Margery Ave: 6302 sq Ft
APN: 218-325-14 on Alice St: 4586 sq ft
APN: 218-333-07 on Virginia Dr: 7083 sq ft
APN: 218-333-19 on 62nd St: 7023 sq ft
APN: 218-334-02 on Virginia Dr: 5845 sq ft
Current real estate data for Land in California City as of Jan 02, 2026
163
Land Listed
386
Avg DOM
$21,112
Avg List Price
Property Details
Price:
$35,000
MLS #:
HD25273693
Status:
Active
Beds:
0
Baths:
0
Type:
Land
Neighborhood:
caccaliforniacity
Listed Date:
Dec 10, 2025
Lot Size:
42,880 sqft / 0.98 acres (approx)
Schools
Interior
Exterior
Community Features
GOLF
Financial
Map
Contact Us
Mortgage Calculator
Community
- AddressEvelyn AV Lot 201 California City CA
- CityCalifornia City
- CountyKern
- Zip Code93505
Subdivisions in California City
Property Summary
- Evelyn AV Lot 201 California City CA is a Land for sale in California City, CA, 93505. It is listed for $35,000 and features 1 acres. To schedule a showing of MLS#hd25273693 at Evelyn AV Lot 201 in California City, CA, contact your Outland and Associates / JoAnn Outland agent at 8054417754.
Similar Listings Nearby
Full-time Real Estate Broker, sold 1400+ Properties in SLO and SBC County. 40+ years of local real estate knowledge and experience. I understand each sale is about you and your goals. I know as we get older, we don’t have time to make up for any mistakes especially when it comes to one the most significant investments. I care about my clients and work very hard to share my knowledge and protect you along the way. I place the appropriate verbiage in the listing and listing agreement depending…
More About JoAnn
Courtesy of Bancorp One, Inc.. Disclaimer: All data relating to real estate for sale on this page comes from the Broker Reciprocity (BR) of the California Regional Multiple Listing Service. Detailed information about real estate listings held by brokerage firms other than Outland and Associates / JoAnn Outland include the name of the listing broker. Neither the listing company nor Outland and Associates / JoAnn Outland shall be responsible for any typographical errors, misinformation, misprints and shall be held totally harmless. The Broker providing this data believes it to be correct, but advises interested parties to confirm any item before relying on it in a purchase decision. Copyright 2026. California Regional Multiple Listing Service. All rights reserved. Evelyn AV Lot 201
California City, CA







