Large rectangular shaped lot approximate lot area per assessors parcel is 8608 square feet , less than a half hour to schools, parks , Edwards Air Force Base, Buddhist Retreats, Nearby to BMX private park, near Open Space, Central Park and Fremont Valley Ecological Reserve, Camp Top of Esse and Desert Tortoise Research National Wildlife Sanctuary. California City was a Master Planned Community only 100 miles from LA and 70 from Bakersfield, North East of Palmdale/Lancaster and the Tuff Shed Store off the I 14 Freeway. This is not in a HOA Vacant Land with desert and Mountain Views within 20 Acres. Get your USDA loan now and build to spec.
Current real estate data for Land in California City as of Feb 03, 2026
584
Land Listed
298
Avg DOM
$35,343
Avg List Price
Property Details
Price:
$10,888
MLS #:
OC25051403
Status:
Active
Beds:
0
Baths:
0
Type:
Land
Neighborhood:
caccaliforniacity
Listed Date:
Mar 8, 2025
Lot Size:
8,625 sqft / 0.20 acres (approx)
Schools
Interior
Exterior
Community Features
RUR, BLM, FHL, HRS, HNT, MIL, MTN, PSV, GOLF, LAKE, PARK, FISH, WATE, HIKI, BIKI, DGP
Financial
Map
Contact Us
Mortgage Calculator
Community
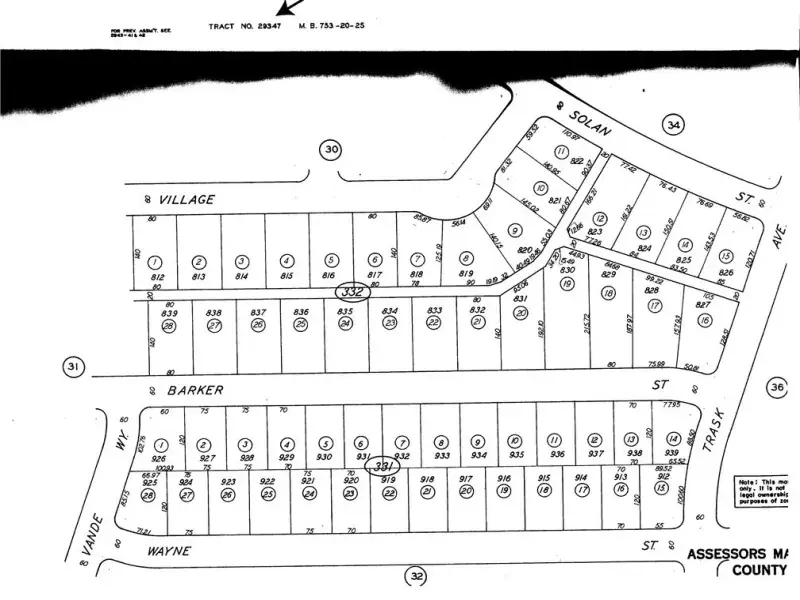
- Address929 Barker Street California City CA
- CityCalifornia City
- CountyKern
- Zip Code93505
Subdivisions in California City
Property Summary
- 929 Barker Street California City CA is a Land for sale in California City, CA, 93505. It is listed for $10,888 and features 0 acres. To schedule a showing of MLS#oc25051403 at 929 Barker Street in California City, CA, contact your Outland and Associates / JoAnn Outland agent at 8054417754.
Similar Listings Nearby
Full-time Real Estate Broker, sold 1400+ Properties in SLO and SBC County. 40+ years of local real estate knowledge and experience. I understand each sale is about you and your goals. I know as we get older, we don’t have time to make up for any mistakes especially when it comes to one the most significant investments. I care about my clients and work very hard to share my knowledge and protect you along the way. I place the appropriate verbiage in the listing and listing agreement depending…
More About JoAnn
Courtesy of Ashby & Graff. Disclaimer: All data relating to real estate for sale on this page comes from the Broker Reciprocity (BR) of the California Regional Multiple Listing Service. Detailed information about real estate listings held by brokerage firms other than Outland and Associates / JoAnn Outland include the name of the listing broker. Neither the listing company nor Outland and Associates / JoAnn Outland shall be responsible for any typographical errors, misinformation, misprints and shall be held totally harmless. The Broker providing this data believes it to be correct, but advises interested parties to confirm any item before relying on it in a purchase decision. Copyright 2026. California Regional Multiple Listing Service. All rights reserved. 929 Barker Street
California City, CA











