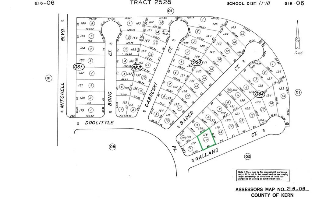
6605 Galland Ct, California City, CA 93505
APN: 216-064-12
For sale is a vacant residential R-1 zoned lot on Bader Ct in the airport district in California City. Priced to sell.
APN: 216-064-12
For sale is a vacant residential R-1 zoned lot on Bader Ct in the airport district in California City. Priced to sell.
Current real estate data for Land in California City as of Apr 13, 2026
389
Land Listed
308
Avg DOM
$53,239
Avg List Price
Property Details
Price:
$6,500
MLS #:
HD25271832
Status:
Active
Beds:
0
Baths:
0
Type:
Land
Neighborhood:
caccaliforniacity
Listed Date:
Dec 5, 2025
Lot Size:
6,677 sqft / 0.15 acres (approx)
Schools
Interior
Exterior
Community Features
GOLF
View
VA
Financial
Map
Contact Us
Mortgage Calculator
Community
- Address6605 Galland CT California City CA
- CityCalifornia City
- CountyKern
- Zip Code93505
Subdivisions in California City
Property Summary
- 6605 Galland CT California City CA is a Land for sale in California City, CA, 93505. It is listed for $6,500 and features 0 acres. To schedule a showing of MLS#hd25271832 at 6605 Galland CT in California City, CA, contact your Outland and Associates / JoAnn Outland agent at 8054417754.
Similar Listings Nearby
Get Out There, A Simply Outgoing Approach to Life. James Outland Jr. is one of those rare people who simply has an outgoing approach to life. No matter the activity… from dune buggy riding to skydiving to motorcycling to riding the local Pismo Beach waves… James Outland Jr. approaches life with a “just get out there and do it” kind of attitude. A zest for Life. James’ zest for life is obviously apparent in his many exciting hobbies. In his spare time, he loves riding dune buggies or hi…
More About James
Courtesy of Bancorp One, Inc.. Disclaimer: All data relating to real estate for sale on this page comes from the Broker Reciprocity (BR) of the California Regional Multiple Listing Service. Detailed information about real estate listings held by brokerage firms other than Outland and Associates / JoAnn Outland include the name of the listing broker. Neither the listing company nor Outland and Associates / JoAnn Outland shall be responsible for any typographical errors, misinformation, misprints and shall be held totally harmless. The Broker providing this data believes it to be correct, but advises interested parties to confirm any item before relying on it in a purchase decision. Copyright 2026. California Regional Multiple Listing Service. All rights reserved. 6605 Galland CT
California City, CA



